Pursuant to Section 34(10.4) and Section 51(19.4) of the Planning Act, R.S.O. 1990, c. P.13, as amended
Take notice that the Town of Bradford West Gwillimbury has received the following complete application:
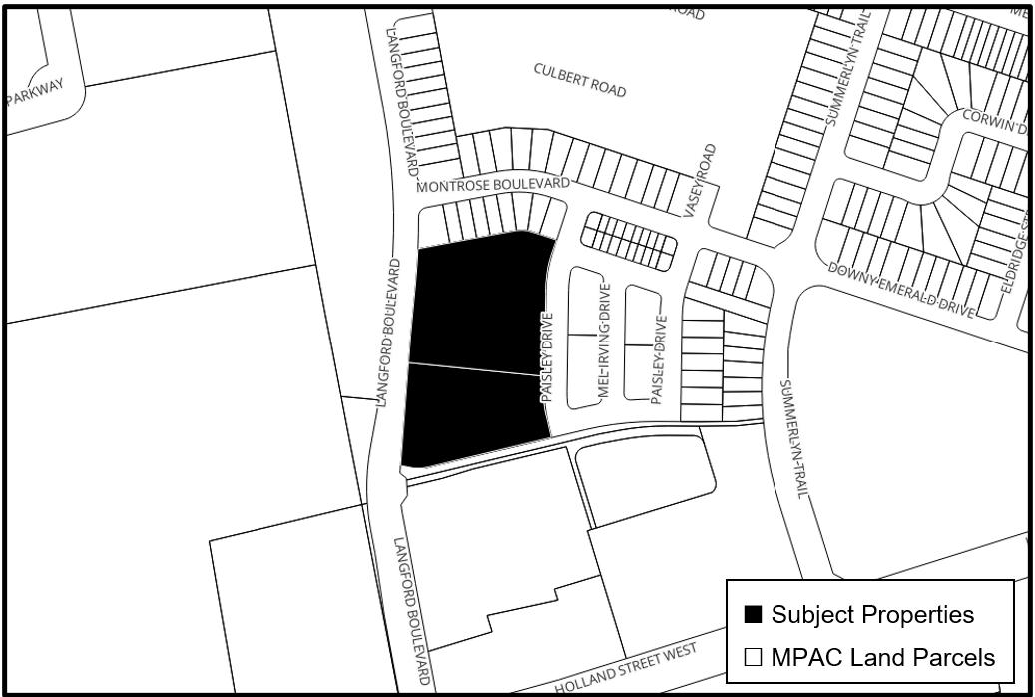
Owner: Sandstorm Development Inc.
Agent: Jones Consulting Group Ltd.
Location: PLAN 51M1259 BLK 91 and 92
File No.: D14-25-09 (Zoning By-law) and D12-25-10 (Draft Plan of Subdivision)
.png)
AND TAKE NOTICE that the Council of The Corporation of the Town of Bradford West Gwillimbury will be holding a public meeting on Tuesday, October 14, 2025 at 7:00 pm to consider the proposed Zoning By-law Amendment. The Council meeting will be held in the Zima Room of the BWG Library & Cultural Centre located at 425 Holland Street West, Bradford, and streamed live on the Town’s YouTube channel at:
www.youtube.com/c/TownofBradfordWestGwillimbury
(Please note that there may be more than one public meeting and that the matter will be dealt with in the order that it appears on the agenda.)
The purpose and effect of the proposed amendment is to rezone the subject properties from Future Development “FD” Zone to Residential One Exception “R1-3*##” and Residential Two Exception “R2-1*##” zones. The purpose of the rezoning is to set site-specific zone standards to permit the development of 15 single detached dwellings and 40 street townhouses dwellings.
The proposed Plan of Subdivision is to divide the property into new parcels and facilitate the proposed development identified in the paragraph above.
Additional information regarding the proposed by-law is available by contacting Priscilla Lan, Senior Planner via email at plan@townofbwg.com or by telephone at (905) 778-2055 x 1407.
The purpose of the meeting is to inform the public about the nature of the proposal, invite public input, and answer questions regarding the application.
Any person may attend the public meeting to make a submission in support of or in opposition to the proposed Amendments. Written submissions regarding the proposal can be made by contacting:
Priscilla Lan, Senior Planner, Town of Bradford West Gwillimbury
Office of Community Planning, 305 Barrie Street, Unit 2,
P.O. Box 419, Bradford, Ontario, L3Z 2A9 or by email at plan@townofbwg.com.
If you wish to be notified of Council’s decision regarding the proposed Amendments, you must submit a written request to Priscilla Lan at the address shown in the paragraph above.
If a person or public body would otherwise have an ability to appeal the decision of the Council of the Town of Bradford West Gwillimbury to the Ontario Land Tribunal but the person or public body does not make oral submissions at a public meeting or make written submissions to the Town of Bradford West Gwillimbury before the by-law is passed, the person or public body is not entitled to appeal the decision.
If a person or public body does not make oral submissions at a public meeting or make written submissions to the Town of Bradford West Gwillimbury before the by-law is passed, the person or public body may not be added as a party to the hearing of an appeal before the Ontario Land Tribunal unless, in the opinion of the Tribunal, there are reasonable grounds to do so.
Any questions regarding this notice should be directed to the Office of Community Planning, (905) 778-2055 x 1407 or plan@townofbwg.com.
Dated at the Town of Bradford West Gwillimbury on this 16th day of September 2025.
Contact Us
