Notice of Complete Application and Public Meeting for a Proposed Official Plan Amendment, Zoning By-law Amendment and Draft Plan of Subdivision
Pursuant to Sections 22, 34 and 51 of the
Planning Act, R.S.O. 1990, c. P.13, as amended
Take notice that the Town of Bradford West Gwillimbury has received the following complete applications:
Owner/Applicant: FMC Bradford Park Lands Ltd.
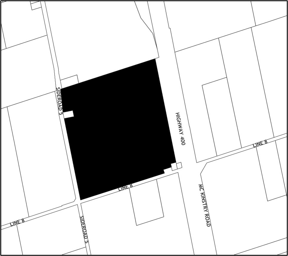
Location: 3664 Line 8
File Nos.: D09-25-03 (“OPA”), D14-25-11 (“ZBA”), D12-25-13 (“DPOS”)
And take Notice that Council of the Corporation of the Town of Bradford West Gwillimbury will be holding a public meeting on Tuesday, October 14, 2025 at 7:00 pm to consider the applications. The Public Information Meeting will be held in the Zima Room of the BWG Library & Cultural Centre located at 425 Holland Street West, Bradford, and streamed live on the Town’s YouTube channel at www.youtube.com/c/TownofBradfordWestGwillimbury.
(Please note that there may be more than one public meeting and that the matter will be dealt with in the order that it appears on the agenda.)
The Town of Bradford West Gwillimbury is in receipt of an application for draft plan approval of an industrial plan of subdivision containing 22 blocks for future employment and employment supportive uses, two (2) blocks for storm water management, two (2) blocks for a drainage channel, and two (2) public streets with a 23.0m right-of-way with entrances to Line 8 and Sideroad 5. To enable the development, the applicants have proposed an Official Plan Amendment that would re-designate the subject lands from “Employment Land Reserve [Area D]” to the “Highway 400 Lands Industrial/Commercial [Area C]” and have proposed a Zoning By-law Amendment which would rezone the lands from “Future Development” to the “400 Lands Industrial/Commercial Exception (400C*##)” and “Environmental Protection (EP)” zone to permit employment and employment supportive uses.
No person or public body shall be added as a party to the hearing of the appeal unless, before the plan was adopted, the person or public body made oral submissions at a public meeting or written submissions to the council or, in the opinion of the Ontario Land Tribunal, there are reasonable grounds to add the person or public body as a party.
If a person or public body would otherwise have an ability to appeal the decision of the Council of the Town of Bradford West Gwillimbury to the Ontario Land Tribunal but the person or public body does not make oral submissions at a public meeting or make written submissions to the Town of Bradford West Gwillimbury before the or the by-law is passed, the person or public body is not entitled to appeal the decision.
If a person or public body does not make oral submissions at a public meeting, or make written submissions to the Town of Bradford West Gwillimbury before the by-law is passed, the person or public body may not be added as a party to the hearing of an appeal before the Ontario Land Tribunal unless, in the opinion of the Tribunal, there are reasonable grounds to do so.
If a person or public body would otherwise have the ability to appeal the decision of the Council of the Town of Bradford West Gwillimbury but does not make oral submissions at a public meeting, if one is held, or make written submissions to the Town of Bradford West Gwillimbury in respect of the proposed plan of subdivision before the approval authority gives or refuses to give approval to the draft plan of subdivision, the person or public body is not entitled to appeal the decision to the Ontario Land Tribunal.
If a person or public body does not make oral submissions at a public meeting, if one is held, or make written submissions to The Town of Bradford West Gwillimbury in respect of the proposed plan of subdivision before the approval authority gives or refuses to give approval to the draft plan of subdivision, the person or public body may not be added as a party to the hearing of an appeal before the Ontario Land Tribunal unless, in the opinion of the Tribunal, there are reasonable grounds to do so.
If you wish to be notified of the decision of the Town of Bradford West Gwillimbury in respect of the proposed by-law and plan of subdivision, you must make a written request to Thomas Dysart, Senior Planner by emailing tdysart@townofbwg.com.
Any questions regarding this notice, including information about your appeal rights should be directed to the Office of Community Planning, (905) 778-2055, ext. 1403 or email at tdysart@townofbwg.com.
Dated at the Town of Bradford West Gwillimbury this 23rd day of September
Contact Us
