Together with heritage planning consultants, Archaeological Research Associates (ARA) and the Town's Heritage Committee, BWG completed a Heritage Conservation District (HCD) Study in 2019. The next phase is now underway.
The Heritage Conservation District (HCD) Plan will provide a set of guidelines and policies to help direct and manage future changes, including how new construction, alterations, infill, and additions should be managed to ensure the unique character of the area is conserved.
About Bond Head
The hamlet of Bond Head is located west of Highway 400 at the intersection of County Roads 27 and 88.
The name was chosen to honour Sir Francis Bond Head (1793-1875) who was a soldier in the British Army, world traveler, prolific author and Lieutenant-Governor of Upper Canada.
| Read More |
|
Two other notable people from Bond Head are Sir William Osler, known as "the father of modern medicine", and Sir William Mulock, a lawyer, businessman, farmer, politician, judge and philanthropist.
Bond Head is considered one of the oldest hamlets in Simcoe County, celebrating its 175th anniversary in 2012. Its recorded history dates back to the 1820s, with early settlers arriving from Ireland and Britain. A robust style of life was afforded by the many services including blacksmiths, harness makers, wagon makers, stores, inns, mills and churches. Furthermore, Bond Head offered residents many opportunities for entertainment and social activities, with numerous local organizations and clubs. The Old Plank Road connected Bond Head to Bradford, and in 1851 it became the first surfaced road in the County.
Today Bond Head has more than 40 buildings that are over 100 years old, and several over 150 years old. Many are still in use and in excellent condition |
About Heritage Conservation Districts
Heritage Conservation Districts recognize the collective heritage value of areas and neighbourhoods that have common threads such as architecture, era, neighbourhood design and development.
Municipalities can identify and preserve areas and neighbourhoods with unique heritage character. This is done by creating a Heritage District Plan under Part V of the Ontario Heritage Act.

About the Plan
An HCD Plan provides clear policies and guidelines on how best to conserve and protect the identified character of a district. Using the findings from the HCD Study, the Bond Head HCD Plan will develop guidelines and policies for managing future changes which conserve the character of the village, the identified cultural heritage values of the district, and are sympathetic to the existing historic building stock.
In consultation with the Town, public and residents, the HCD Plan will include:
- Development of policies to address the conservation of heritage attributes of the district;
- Formulation of policies and guidelines which address alterations additions and other possible changes within the district;
- Formulation of policies and guidelines which address new construction to ensure they are sympathetic with the existing massing, height, architectural styles and details of the historic buildings;
- Review and examine the feasibility of establishing a Heritage Permitting process and/or financial incentives to assist property owners with restoration and maintenance efforts.
| Draft HCD Plan and Property Data Sheets |
| Final HCD Plan (May 2025) |
Subject to Council approval, the following documents will form the final Heritage Conservation District (HCD) Plan for the Bond Head area.
|
| Final HCD Plan (March/April 2026) |
|
About the Study
The final HCD Study was completed and approved by Council on August 27, 2019.
In 2018 the Town’s Heritage Committee expressed interest in pursuing a Heritage Conservation District designation to help guide alteration of existing buildings and new development. Council allocated funds to complete a Heritage Conservation District Study to determine if it was indeed the best course of action, or if other methods of conservation should be investigated.
| Read More |
|
The initial proposed Study Area for the Bond Head Heritage Conservation District Study was an irregular boundary encompassing the community of Bond Head radiating from the intersection of County Road 88 and County Road 27. There were approximately 240 properties reviewed within the Study Area. Of those properties 37 are listed on the Town’s Heritage Registry and 1 property is designated under Section 29 of the Ontario Heritage Act.
The HCD Study was divided into two stages.
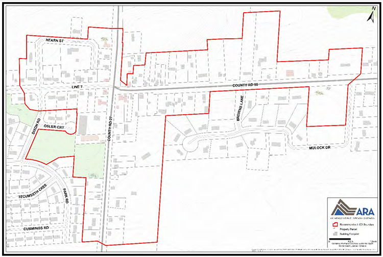
Based on public input and the findings of the HCD Study Stage 1 and Stage 2, a final HCD boundary was established and is shown below. The HCD Study describes the boundary as:
The proposed boundary focuses on the historic concentration of structures in the village along the crossroads of County Road 27 and County Road 88/Line 7. The boundary, as depicted on Map 9 (see Map 1 below), extends from approximately Hearn Street/Dixon Road in the west, to St. Catherine of Alexandria Byzantine Church on only the west side of County Road 27 in the north, to Mulock Drive in the east, and to the last residential properties on County Road 27 in the south.
The following resources provide more information about the HCD Study:
The next step of the process is to complete the HCD Plan. |
This project has been made possible thanks to the generous financial support of Tourism Simcoe County.

Contact Us
